Ссылки для упрощенного доступа

Ураган "Мэтью" обрушился на центральную часть Флориды


Ураган "Мэттью"
Ураган "Мэттью"

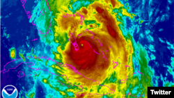
Ураган "Мэтью" обрушился на центральную часть американского штата Флорида и продвигается на север.

Эпицентр находится в 55 километрах к востоку от мыса Канаверал, где расположен главный космодром США. Скорость ветра в эпицентре достигает 195 километров в час.

Идёт эвакуация жителей в штатах Флорида, Джорджия и Южная Каролина.

600 тысяч человек остались без электричества.

На Гаити число жертв урагана "Мэтью" возросло до 572-х. Среди наиболее пострадавших районов - запад полуострова Тибурон.

Американские метеорологи не исключают, что "Мэтью" может стать сильнейшим ураганом во Флориде за последние 118 лет.

Путин грозит Европе
пожалуйста, подождите

No media source currently available

0:00 0:20:30 0:00


XS
SM
MD
LG